Trang chủ
Truy xuất nguồn gốc: Trụ cột của quản lý, kinh doanh hiện đại
(VietQ.vn) - Trong kỷ nguyên số, công nghệ truy xuất nguồn gốc mở ra cơ hội để người tiêu dùng kiểm chứng xuất xứ, chất lượng hàng hóa, đồng thời giúp doanh nghiệp quản trị chuỗi cung ứng, chống hàng giả, nâng cao lợi thế cạnh tranh. Tuy nhiên, việc ứng dụng vẫn đối mặt nhiều rào cản, từ hạ tầng, chi phí đến thói quen quản lý.
-
Gia đình nạn nhân thẩm mỹ viện dừng tìm kiếm thi thể chị Huyền
Kinh doanh sân bóng đã lỗi thời?
Tin mới nhất về bão số 15
Đòn phản công hiểm của Apple dành cho Google
Vi phạm chuyên môn gây hậu quả nghiêm trọng sẽ bị đình chỉ hành nghề
Chính sách thuế bị rối?
Sẽ khởi tố vụ san chiết gas lậu ở Công ty Điện Quang
-
Điều kiện tiên quyết để Việt Nam vững bước trong kỷ nguyên mới
-
Phú Thọ đẩy mạnh hỗ trợ doanh nghiệp nâng cao năng suất, chất lượng sản phẩm hàng hóa
Tin mới 24h
Tạo máu nhân tạo từ sâu biển
(VietQ.vn) - Tình trạng khan hiếm nguồn máu, phục vụ cho công tác cứu chữa bệnh không phải là một hiện tượng hiếm trên thế giới. Nhằm khắc phục thực tế này, các nhà khoa học Rumani mới đây đã phát triển một loại máu nhân tạo với hy vọng, trong tương lai có thể sử dụng ở người mà không phát sinh tác dụng phụ.
Ra mắt ứng dụng bản đồ địa điểm trên Mobile
(VietQ.vn) - Các kỹ sư của Cốc Cốc đã ra mắt Nhà Nhà - ứng dụng Mobile tìm kiếm các địa điểm theo vị trí người dùng đang đứng. Đâu là điểm khác biệt của ứng dụng này?
Rầm rộ quảng cáo giảm giá, người tiêu dùng nên chọn mặt gửi vàng
Tháng khuyến mại Hà Nội 2013 với 1.032 điểm bán hàng giảm giá nhưng sức mua vẫn khá chậm, thậm chí nhiều “điểm vàng” của tháng khuyến mại được quảng cáo rầm rộ cũng rơi vào tình trạng vắng khách.
10 thương hiệu đang kiểm soát cuộc sống của bạn
(VietQ.vn) - Theo một nghiên cứu mới của trường đại học Zurich - Thụy sĩ, cuộc sống của chùng ta đang bị "kiểm soát mềm" bởi 10 thương hiệu tiêu dùng hàng đầu thế giới.
Mẹo vặt giúp mua hàng online giá rẻ
Tìm hiểu kỹ chất lượng sản phẩm, hình ảnh hàng hóa là thật hay chỉ mang tính minh họa, cẩn trọng với các dịch vụ phụ thu... sẽ giúp người tiêu dùng sở hữu những món hàng qua mạng với giá hời.
6 thách thức của Phó Thủ tướng Vũ Đức Đam
(VietQ.vn) – Ngành y với hàng loạt sai sót nghiêm trọng, bệnh thành tích của ngành giáo dục, thông tin “lá cải” đầy rẫy trong ngành truyền thông…
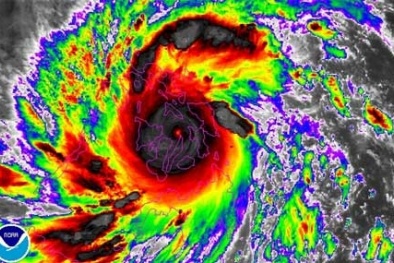
Cáo buộc Mỹ gây ra siêu bão Haiyan
Một nhà khoa học hàng đầu của Philippines đã lên tiếng phản bác một video cáo buộc, siêu bão Haiyan (hay còn được biết đến với tên gọi "Yolanda" ở Philippines) là thảm họa nhân tạo, do công nghệ phát xung vi ba của Mỹ gây ra.
Thu hồi thuốc Nesmox – 250 chống nhiễm khuẩn
(VietQ.vn) - Cục Quản lý dược bộ Y tế vừa có thông báo đình chỉ lưu hành và thu hồi thuốc viên nang Nesmox – 250 (Amoxicillin BP) trên toàn quốc vì lý do tiêu chuẩn chất lượng.
.









