Diễn đàn chính sách
Tin trong nước
World Bank cung cấp khoản vay gần 145 triệu USD hỗ trợ tăng khả năng chống lũ tại miền Trung
(VietQ.vn) - Ngày 30/9/2025, Ban Giám đốc Điều hành Ngân hàng Thế giới (World Bank) đã phê duyệt dự án nhằm tăng cường bảo vệ chống lũ và kết nối giao thông tại thành phố Đà Nẵng và tỉnh Gia Lai. Khoản đầu tư 145 triệu USD sẽ mang lại cho hơn 1,2 triệu người khả năng bảo vệ trước lũ tốt hơn, các tuyến sơ tán an toàn hơn và khả năng tiếp cận ổn định hơn với thị trường và dịch vụ.
-
Đề thi trung học phổ thông quốc gia năm 2015 sẽ tương tự năm 2014
Kỳ thi Quốc gia 2015: Đăng ký xét tuyển ĐH qua...bưu điện
Hà Nội: Nghiêm cấm CSGT đứng núp, rút chìa khóa xe vi phạm
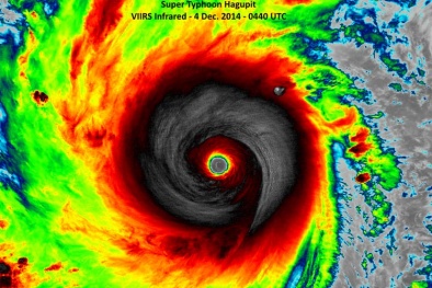
Tin mới nhất bão Hagupit: Bão mạnh dần và đổi hướng trước khi vào nước ta
Thủ tướng: Giảm biên chế không có nghĩa giảm hiệu lực bộ máy hành chính
Hỗ trợ đưa thi thể thuyền viên Việt Nam trong vụ cướp tàu về nước
Dự báo thời tiết hôm nay 10/12: Không khí lạnh tăng cường tại miền Bắc
-
Các chính sách mới có hiệu lực từ tháng 10/2025
-
Thủ tướng yêu cầu đẩy mạnh phân cấp, phân quyền và cắt giảm thủ tục hành chính
Tin mới Tin trong nước 24h
Lên phương án di dời dân cư ven biển
Trong các phương án ứng phó với bão Hagupit, các địa phương ven biển đặc biệt nhấn mạnh công tác kiểm tra, rà soát, xác định cụ thể các khu vực trọng điểm, xung yếu, khu vực thường xảy ra lũ lụt để bổ sung, hoàn thiện công tác ứng phó.
Đọc báo hôm nay: Những tin tức mới cập nhật 24h ngày 9/12
(VietQ.vn) - Tin tức mới cập nhật 24h ngày 9/12 đề cập đến những sự kiện nóng nhất trong ngày bao gồm Quyết định thu hồi biệt thự của cựu Chủ tịch UBND Hà Nội, vụ phóng hỏa nhà ga Vinh, bắt giữ các đối tượng hành hung CĐV bóng đá Việt Nam tại Malaysia...
Tổng Thanh tra Chính phủ: Tham nhũng ở Việt Nam 3 năm qua ổn định
Tổng Thanh tra Chính phủ Huỳnh Phong Tranh cho rằng tham nhũng ở Việt Nam trong 3 năm qua (2012-2014) có tính chất ổn định.
Bà ngoại bị nghi đánh dã man bé trai 2 tuổi
Ngày 8.12, bác sĩ Nguyễn Ích Tuấn, Trưởng khoa Cấp cứu Bệnh viện (BV) đa khoa Bạc Liêu, cho biết BV vừa tiếp nhận và điều trị một bé trai nghi bị bà ngoại bạo hành dã man.
Sẽ xây tháp truyền hình Việt Nam tại khu đô thị Tây Hồ Tây
Thủ tướng Nguyễn Tấn Dũng vừa đồng ý với đề nghị của Đài Truyền hình Việt Nam về địa điểm đầu tư dự án "Tháp Truyền hình Việt Nam" tại khu trung tâm đô thị Tây Hồ Tây, Hà Nội.
Lương trung bình ở Việt Nam chỉ hơn 3 nước ASEAN
So với các quốc gia ASEAN, lương tháng trung bình trong năm 2012 của Việt Nam ở mức xấp xỉ 181 USD, chỉ cao hơn so với Lào (119 USD), Campuchia (121 USD) và Indonesia (174 USD).
Cận cảnh về cụ rùa hồ Gươm lên phơi nắng ngày 8/12
Sáng 8/12, khi trời Hà Nội có nắng, "cụ rùa" bất chợt nổi và nằm phơi mình trên bãi cỏ bên chân tháp Rùa ở hồ Hoàn Kiếm.
Bàn giao toàn bộ Nhà Quốc hội trước Tết Nguyên đán 2015
Sáng 8/12, Phó Thủ tướng Hoàng Trung Hải đã chủ trì họp Ban chỉ đạo xây dựng Nhà Quốc hội đánh giá việc vận hành công trình phục vụ kỳ họp Quốc hội vừa qua; công tác hoàn thiện tòa nhà theo đích tiến độ cuối cùng.
Trao tặng nguyên Thủ tướng Phan Văn Khải Huy hiệu 55 năm tuổi Đảng
Trao tặng nguyên Thủ tướng Phan Văn Khải Huy hiệu 55 tuổi Đảng, Thủ tướng Nguyễn Tấn Dũng nêu rõ đây là sự ghi nhận một lần nữa của Đảng đối với những cống hiến, công lao to lớn của nguyên Thủ tướng đối cho sự nghiệp cách mạng của Đảng và dân tộc.
Dự báo thời tiết hôm nay 9/12/2014: Bão Hagupit vào tới biển Đông
(VietQ.vn) - Dự báo thời tiết hôm nay 9/12/2014, bão Hagupit sẽ bắt đầu đổ bộ vào biển Đông từ khoảng 16h chiều nay, gây thời tiết xấu, gió giật mạnh và sóng cao cho nhiều khu vực.
Dự báo thời tiết ngày mai 9/12: Bão Hagupit đổ bộ vào Biển Đông
(VietQ.vn) - Dự báo thời tiết ngày mai 9/12/2014, các tỉnh miền Bắc tiếp tục rét sâu trời nhiều mây và có mưa vài nơi. Các tỉnh ven biển và miền Trung có mưa và dông do ảnh hưởng của bão Hagupit đang tiến vào Biển Đông.
Vé tàu Tết: Mỏi mệt chờ đợi... rồi về tay không
Sáng 7-12, người dân tiếp tục dồn về ga Sài Gòn (TP.HCM) để mua vé tàu tết về quê. Sau mấy giờ chờ đợi, nhiều người phải thất vọng ra về khi không mua được vé.
Tin bão mới nhất về cơn bão hagupit: Chính phủ họp khẩn ứng phó siêu bão
(VietQ.vn) - Phó Thủ tướng Hoàng Trung Hải chủ trì cuộc họp khẩn Ban Chỉ đạo phòng chống lụt bão Trung ương bàn giải pháp ứng phó siêu bão Hagupit
Tin bão mới nhất: Bão hagupit gây biển động rất mạnh
(VietQ.vn) - Tin bão mới nhất về cơn bão hagupit ngày hôm nay, 8/12 cho thấy diễn biến bất thường của cơn bão.
Số bệnh nhân bị rắn lục đuôi đỏ cắn gia tăng vào mùa mưa ở Nam Bộ
Ngày 7/12, Phó Giáo sư Tiến sỹ Trần Quang Bính, Trưởng khoa Bệnh Nhiệt đới, Bệnh viện Chợ Rẫy (Thành phố Hồ Chí Minh) cho biết, số lượng bệnh nhân bị rắn lục đuôi đỏ cắn phải nhập bệnh viện điều trị gia tăng khá lớn ở thời điểm Nam Bộ đang ở mùa mưa, nhưng tổng số ca bị rắn lục đuôi đỏ cắn trong năm 2014 không gia tăng so với các năm trước đó.
Dự báo thời tiết hôm nay 8/12/2014: Bắc bộ ấm lên, bão Hagupit đe dọa biển Đông
(VietQ.vn) – Dự báo thời tiết hôm nay 8/12/2014, dù bão Hagupit chưa đi vào biển Đông song thời tiết các vùng biển Bắc bộ ngày càng xấu đi rõ rệt do ảnh hưởng của không khí lạnh.
Hoàng hậu Fabiola từ trần, Bỉ để quốc tang trong bảy ngày
Chính phủ của Thủ tướng Charles Michel đã quyết định để quốc tang bảy ngày, bắt đầu từ 6/12 và lễ tang chính thức Hoàng hậu Fabiola sẽ được tiến hành trọng thể ngày 12/12.
Dự báo thời tiết hôm nay 7/12: Không khí lạnh tăng cường xuống miền Bắc
(VietQ.vn) - Dự báo thời tiết hôm nay 7/12/2014, không khí lạnh tăng cường tại miền Bắc gây mưa nhỏ và giảm nhiệt trên toàn khu vực, khiến cảm giác rét buốt ngày càng ngấm sâu hơn.
Vụ máy bay MH17: Báo Nga tố tỉ phú Ukraine tìm cách ám sát ông Putin
Báo Nga cho rằng nhờ thông tin tình báo, tỉ phú Ukraine Ihor Kolomoyskyi đã biết đường bay của chiếc phi cơ riêng của Tổng thống Putin, nên đã lên kế hoạch ám sát
Tin bão mới nhất: Hơn nửa triệu dân Philippines sơ tán tránh siêu bão Hagupit
(VietQ.vn) - Bão Hagupit đã đổ bộ vào bờ biển phía Đông miền Trung Philippines vào đêm thứ Bảy ngày 6/12. Sức mạnh của cơn bão kinh hoàng tới mức khiến cây cối bật gốc và mất điện diện rộng trên toàn khu vực.











