Diễn đàn chính sách
Quốc tế
Chuyên gia nhận định về động thái tạm hoãn áp thuế đối ứng với Việt Nam của Mỹ
(VietQ.vn) - Rạng sáng nay 10/4, Tổng thống Mỹ Donald Trump đã tuyên bố tạm hoãn áp thuế đối ứng đối với 75 nước, trong đó có Việt Nam, mức thuế còn 10%.
-
Cáo buộc Mỹ gây ra siêu bão Haiyan
Tiếng kêu cứu của người Việt từ vùng rốn bão Haiyan...!
Tấn công xe chở hàng viện trợ ở Philippines
Chưa phát hiện người Việt chết trong bão số 14 ở Phillippines
40% thi thể chết do bão số 14 là trẻ em
Cha bất lực nhìn siêu bão số 14 cuốn con gái đi
Trước khi thành bão số 14 vào VN: Haiyan tàn phá tan hoang Philippin
-
WHO sơ duyệt vaccine ngừa bệnh đậu mùa khỉ đầu tiên
-
AstraZeneca thừa nhận vắc xin Covid-19 gây tác dụng phụ nghiêm trọng có thể dẫn tới tử vong
Tin mới Quốc tế 24h
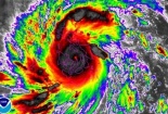
Bão Haiyan tàn phá ở Philippines
(VietQ.vn) - Siêu bão Haiyan (Hải Yến-Philippines gọi là bão Yolanda) đã đổ bộ vào hai tỉnh đảo Samar và Leyte ở miền Trung Philippines. Sức gió lên đến 272 km/giờ, sức giật 320 km/giờ. Nước biển dâng cao hơn 6 m.
Cuộc chiến... giấy vệ sinh
(VietQ.vn) - Sau hơn 6 tháng khan hiếm, chính phủ Venezuela đã sử dụng biện pháp mạnh: triển khai quân đội tại nhà máy sản xuất giấy vệ sinh lớn nhất nước.
Dược phẩm “nhái” chiếm 10% thị trường thế giới
(VietQ.vn) - Theo ước tính của một tổ chức phi chính phủ Mỹ, trong năm 2010, dược phẩm “nhái” hiện chiếm lĩnh đến 10% thị trường thuốc thế giới, với tổng trị giá khoảng 75 tỷ USD.
Trung Quốc: Báo chí bị kiện về tội phỉ báng doanh nghiệp
Một công ty sản xuất nước đóng chai Trung Quốc cáo buộc một tờ báo ở Bắc Kinh bịa chuyện để bôi nhọ những sản phẩm của công ty, trong một vụ kiện phỉ báng lớn chống lại giới truyền thông.
Nổ súng bắn nhau như phim hành động ở sân bay
Cảnh sát thành phố Los Angeles cho biết vụ nổ súng xảy ra vào 9h20 sáng theo giờ địa phương (tối 1/11 theo giờ Việt Nam) tại nhà ga số 3.
Chính quyền Obama loan báo kế hoạch hút đầu tư nước ngoài
(VietQ.vn) – Tiếp tục bơm tiền vào nền kinh tế, thu hút đầu tư nước ngoài để tạo thêm việc làm…là một số biện pháp mà chính quyền Obama đưa ra nhằm thúc đẩy kinh tế Mỹ.
Trung Quốc: Tăng trưởng dựa vào tiêu dùng nội địa
(VietQ.vn) - Trung Quốc đang tìm cách chuyển từ một nền kinh tế dựa vào xuất khẩu sang một nền kinh tế dựa nhiều hơn vào tiêu dùng trong nước.
Vụ rơi máy bay Lào: Nhận dạng nạn nhân gốc Việt
Nhà chức trách Lào ngày 19/10 đã nhận dạng được 14 trong tổng số 40 thi thể được tìm thấy ở vụ tai nạn máy bay thảm khốc của hãng hàng không Lao Airlines. Đáng chú ý là trong số này có thi thể của cô Chinda Phommasone, con gái của cặp vợ chồng gốc Việt là ông Lê Huề và bà Vương Thị Ngân.
Sự thật phũ phàng phía sau mỗi ly cà phê giá "khủng"
Đằng sau những ly cà phê phân chồn giá từ 30 tới 100 USD là nạn ngược đãi động vật tàn nhẫn.
Tin mới nhất về vụ tai nạn máy bay Lào có người Việt
Trong số 44 người được liệt kê thì có hai hành khách Vietnam có tên “LE HUE” và “VUONG THI CAN.”
Johnson & Johnson “đau đầu” cải thiện chất lượng sản phẩm
(VIetQ.vn) - Sau nhiều năm cố gắng để cải thiện hình ảnh của mình trong các vụ bê bối chất lượng sản phẩm, tập đoàn Johnson & Johnson lại phải công bố hai đợt thu hồi sản phẩm thông dụng trên thế giới chỉ trong vòng một tuần, làm dấy lên mối lo ngại về hệ thống quản lý chất lượng.
Thượng nghị sỹ Mỹ kể phút nổ súng ngoài Nhà trắng
(VietQ.vn) - "Chúng tôi nghe thấy các tiếng súng, 3, 4 và 5 tiếng súng", thượng nghị sĩ Sherrod Brown cho hay. Khi xảy ra vụ việc, ông Brown ở bên ngoài tòa nhà và đã được yêu cầu trú ẩn đằng sau một chiếc ô tô.
Cuộc họp lần thứ 25 của ASEAN về đánh giá sự phù hợp
(VietQ.vn) - Trong ba ngày từ 23-26/9/2013, tại Viêng-chăn, Lào đã diễn ra cuộc họp lần thứ 25 của nhóm công tác 2 về đánh giá sự phù hợp thuộc Ủy ban Tư vấn về Tiêu chuẩn và Chất lượng của ASEAN.
Chất cấm trong hàng đông lạnh Trung Quốc
Trong bài báo “Cá nuôi ở Trung Quốc: điều tra về nguy cơ cho sức khỏe”, nhà báo Harold Thibault của tờ L’Express (Pháp) cho biết hiện nay thủy hải sản xuất khẩu của Trung Quốc có mặt trên nhiều gian hàng thực phẩm đông lạnh ở châu Âu và Mỹ, nhưng đằng sau đấy ít ai biết được công nghệ chế biến không đảm bảo tiêu chuẩn.
Thu hồi hàu Mỹ nghi nhiễm khuẩn
Loại hàu mang tên Cape Neddick/Blue Point Oysters được khách hàng ưa thích dùng ăn sống vừa bị thu hồi tại Mỹ do nghi nhiễm vi khuẩn Vibrio parahaemolyticus.
Trung Quốc: 18 năm tù vì sản xuất dầu ăn bẩn
Theo hãng tin CRI hôm nay, 17/8, 15 người ở tỉnh Vân NamTrung Quốc vừa bị kết án vì sản xuất và buôn bán dầu ăn không an toàn.
Sữa bột Trung Quốc có lợi nhờ sữa "độc" New Zealand
(VietQ.vn) - Trung Quốc đang cố gắng dùng chính scandal sữa nhiễm độc từ New Zealand để thúc đẩy ngành công nghiệp sữa tai tiếng từ lâu của nước này, tuy nhiên chặng đường này còn quá khó khăn.
Trung Quốc thu hồi thuốc giảm béo chứa chất gây trụy tim
(VietQ.vn) - Theo tờ Tin tức Bắc Kinh, Trung Quốc vừa tịch thu một loạt sản phẩm giảm cân xuất xứ Thái Lan mang nhãn hiệu “YANHEE” vì có chứa chất sibutramine độc hại, gây nguy cơ trụy tim.
Trung Quốc phát hiện chất trụy tim trong thuốc thú y
(VietQ.vn) - Bộ Công an Trung Quốc vừa phát hiện nhiều loại thuốc thú y được bán khắp cả nước chứa chất cấm có tác dụng tạo nạc cho thịt lợn, có thể gây trụy tim cho người.
Thu hồi thuốc giảm cân gây ung thư, loạn tim
(vietQ.vn) - Cơ quan quản lí thực phẩm và dược phẩm Mỹ (FDA) và công ty Bethel Nutritional Consulting đã tiến hành thu hồi 2 dòng sản phẩm nhãn hiệu “Quick Thin” và “Bethel Advance”.











